Available

Montalbo Road, Barnard Castle, Durham, DL12 8ED
£850,000 offers in the region of

ID:

3018528

15,624 Sq Ft
Freehold
Investment

Details

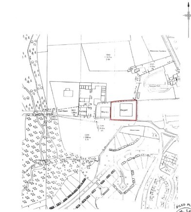
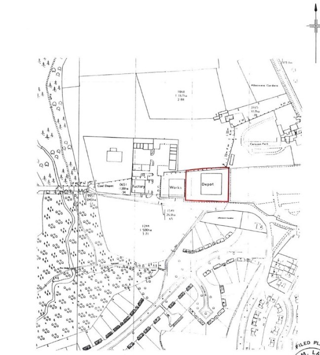
The property comprises of two parallel steel portal frame warehouse bays under a pitched roof incorporating translucent roof lights. The premises have been sub divided to provide showroom, office, workshop and warehouse accommodation. Part of the property benefits from a high quality retail showroom area with LED lighting, sales counter and stores and WC/staff facilities as well as workshop at the rear with drive in roller shutter access and an eaves of c 4.5m. In addition is a useful mezzanine area providing light storage. The warehouse benefits from solid concrete flooring throughout, drive in roller shutter access and an eaves of c4.5m. Externally the property benefits from a large site area of c1.10 acres providing yard and car parking in a full fenced and secured area.

Location

Enquire about this Property

Please contact us for more details and information about this property

Your Agency Specialist

This site uses cookies to monitor site performance and provide a more responsive and personalised experience. You must agree to our use of certain cookies. For more information on how we use and manage cookies, please read our Privacy Policy.